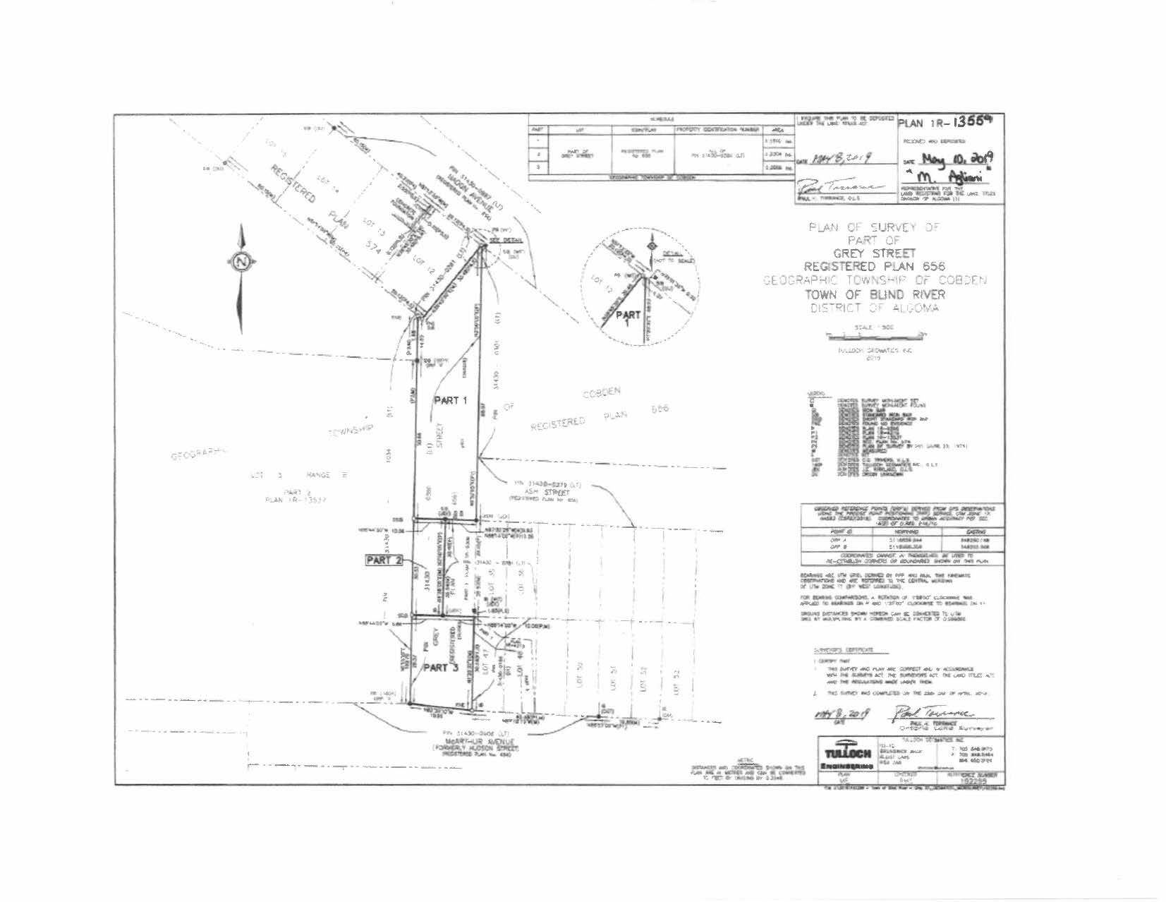
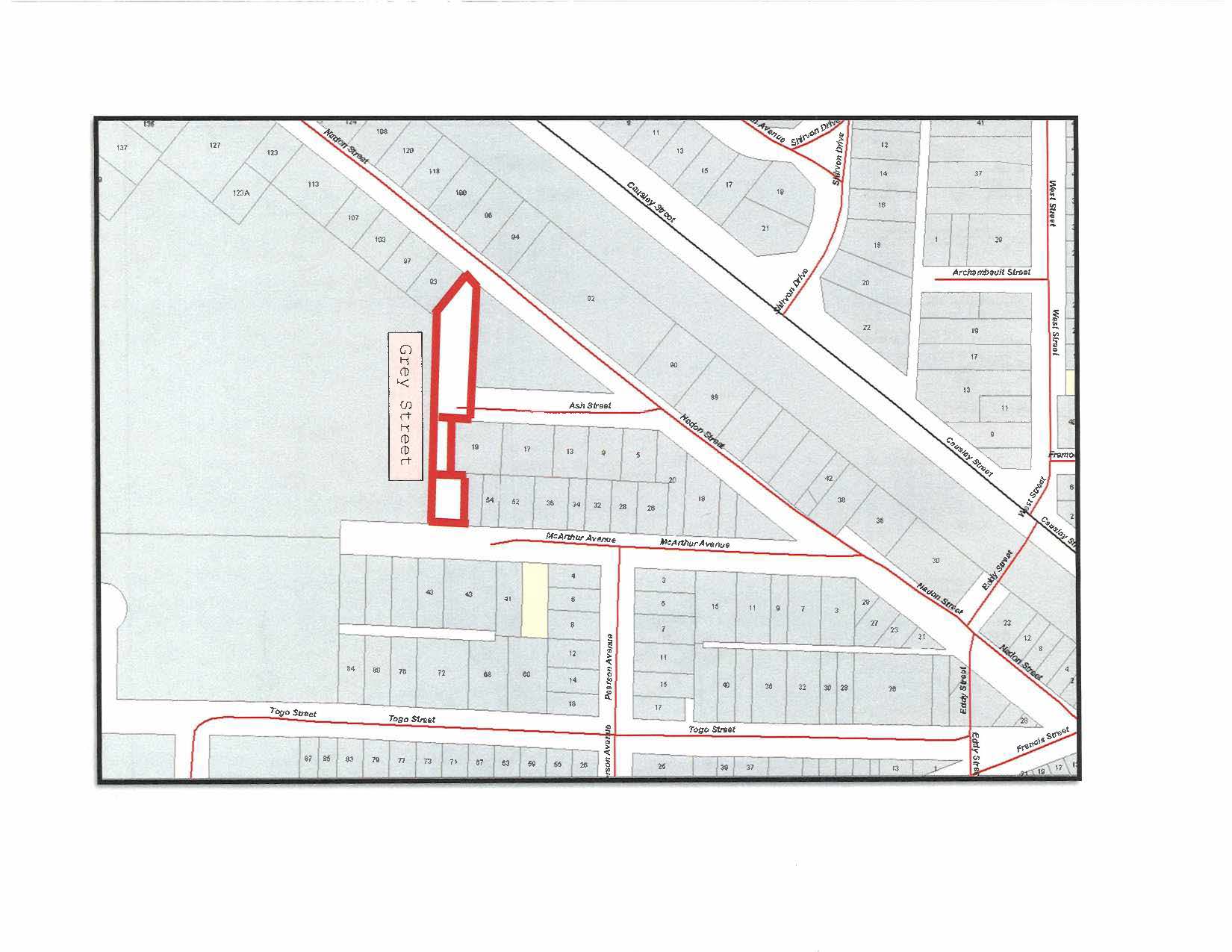
Notice of Road Allowance Closing
Subscribe
Back to News Search
Contact Us
Town of Blind River
11 Hudson Street,
Blind River, ON P0R 1B0
Emergency contact: 705-849-7586
Phone: 705-356-2251
Sign up to our Newsletter
Stay up to date on the city's activities, events, programs and operations by subscribing to our eNewsletters.
